Capítulo 5
El concurso del plan de ensanche y reforma interior de Ceuta de 1932
Siguiendo las indicaciones del jurado del fallido concurso convocado para la extensión de la ciudad en 1928, la Junta Municipal de Ceuta convocó un nuevo concurso el 12 de julio de 1930⁷⁸. En esta ocasión, el concurso se organizó en dos fases. En la primera los participantes debían elaborar un anteproyecto de extensión con un plazo de cuarenta y cinco días a partir de la publicación de la convocatoria.
De entre las propuestas presentadas se seleccionarían las tres mejores, que pasarían a una segunda fase. Ésta consistiría en definir un proyecto de ejecución para el cual los finalistas tenían un plazo de seis meses. El jurado volvió a contar con la participación de los arquitectos Antonio Flórez Urdapilleta, designado de nuevo, tal y como había sucedido en el concurso de 1928, por la Escuela Superior de Arquitectura de Madrid, y Manuel Sánchez Arcas, designado por los concursantes en lugar de Luis Lacasa, al que se le asignó por parte del jurado el papel de secretario técnico. A ellos había que sumar representantes de la Junta de Obras del Puerto, del ramo de la Guerra, de la Delegación de Fomento de Tetuán, que era la capital del Protectorado español, y de la propia Junta Municipal de Ceuta.
Se presentaron siete anteproyectos. El fallo del jurado dio como resultado en esta primera fase la selección de los anteproyectos de Gaspar Blein, César Cort y del equipo formado por Pedro Muguruza, Manuel Latorre y el ingeniero José Hervás. Los tres finalistas fueron premiados con 7.000 pesetas cada uno. El jurado decidió también que cada uno de los tres equipos desarrollara un proyecto de ejecución en base a sus respectivos anteproyectos, tal y como se especificaba en las bases de la convocatoria.
Los proyectos de ejecución fueron entregados el 4 de noviembre de 1931. El 9 de enero de 1932 se reunió de nuevo el jurado, en el que se había producido algún cambio. Teodoro Anasagasti había sido elegido por la Escuela Superior de Arquitectura de Madrid como presidente, en sustitución de Antonio Flórez. Además, se incorporaron Carlos Ovilo, arquitecto del Departamento de Construcciones Civiles de la Alta Comisaría de España en Marruecos, y José Larrucea, técnico que estaba desempeñando trabajos en el Protectorado español, y que sustituía al arquitecto municipal José Blein por su incompatibilidad, dado que era hermano de uno de los concursantes, Gaspar Blein. En su dictamen, el jurado apuntó que el buen hacer de las bases de la convocatoria, elaboradas por el arquitecto José Blein, justificaba en gran parte el éxito del resultado del concurso.
La simple relación de los planos y los documentos del proyecto de reforma y ensanche de Ceuta⁷⁹ presentados por los tres finalistas da idea del volumen de trabajo realizado. La parte gráfica comprendía perspectivas de los espacios urbanos más representativos, maquetas y planos generales y parciales de parques y jardines, del sistema viario, de los usos del suelo y de la edificación, y de las instalaciones, a los que se sumaban las memorias, los presupuestos y unas ordenanzas municipales.
Las perspectivas de los proyectos transmitían una imagen que oscilaba entre la evocación neoárabe, castiza y mediterránea de la propuesta del equipo de Pedro Muguruza, con profusión de arcadas y pinceladas vegetales, a la más conservadora de César Cort, de corte clasicista y académica, pasando por la racionalista presente en la propuesta de Gaspar Blein, propia de la nueva generación a la que pertenecía el arquitecto.
El jurado elaboró una minuciosa acta firmada por Teodoro Anasagasti como presidente⁸⁰. En ella, a modo de informe técnico, se detallaban los diferentes aspectos analizados y la argumentación que sustentaba la valoración de cada una de las propuestas previamente seleccionadas. Esta valoración de cada una de las propuestas se representó a modo de tablas, evidenciando así las semejanzas y las diferencias entre cada una de ellas.
Los principales puntos objeto de análisis sobre los que se sustentó la decisión final, tal y como se especificaba en el documento, fueron los siguientes: Primero, la adaptación al terreno de los trazados propuestos, dada la contundente orografía de la zona destinada a la extensión de la ciudad. La orografía se salvaba con túneles, pasarelas como medio de conexión y jardines aterrazados en las zonas de mayor desnivel. Segundo, la propuesta de zonificación. La claridad en este aspecto se convirtió en uno de los principales argumentos que tuvo más peso en el jurado para emitir su decisión final. Tercero, la posibilidad de una realización inmediata de parte de los trabajos. La penosa situación de la infravivienda urgía la posibilidad de avanzar en la puesta en marcha de algunas de las intervenciones contenidas. Cuarto, el tratamiento que recibieran las edificaciones existentes en la zona propuesta para el ensanche. Quinto, las características y las cualidades de los distintos trazados propuestos.
Además, se orientaba a los concursantes con especificaciones como la necesaria vinculación del comercio, la industria y el turismo con el puerto de la ciudad. En estos momentos se estaban realizando obras de ampliación en el puerto con terrenos ganados al mar en el llamado Muelle de Rivera, donde se habrían de desarrollar los espacios de maniobras del que se esperaba fuera el puerto de África, que había de ser conectado con la línea férrea de Ceuta-Tetuán, puesta en servicio en 1918. La dependencia estatal del puerto y no municipal era un condicionante de partida del proyecto. La Junta de Obras del Puerto había prohibido cualquier intervención residencial en la nueva superficie ganada al mar, que debía ser dedicada en exclusiva a servicios portuarios y así se le había hecho saber a los concursantes. La presencia de las propiedades militares dispersas no sólo en la zona del Campo Exterior, sino también en el casco urbano, era otro de los condicionantes que debían tenerse en cuenta a la hora de abordar cualquier propuesta sobre la ciudad.
Tras el exhaustivo estudio comparativo entre las tres propuestas seleccionadas el jurado emitió su dictamen, en el que se declaraba que el proyecto ganador fuera el de Gaspar Blein, con un premio de 45.000 pesetas, y se dieran sendos accésits de 20.000 pesetas y 10.000 pesetas a los proyectos de César Cort y Pedro Muguruza, respectivamente, en base a la alta calidad de las propuestas presentadas.
Teodoro Anasagasti especificó también que el proyecto ganador tendría que abordar de un modo más completo las bases para el desarrollo del planeamiento regional, no especificado en la convocatoria. Desde finales de los años veinte, algunos de los planes de extensión urbana propuestos para ciudades españolas contenían un documento esquemático correspondiente a la escala regional. Normalmente se expresaba gráficamente mediante la representación de los asentamientos del territorio más inmediato como una corona de ciudades-satélites unidas en muchos casos por curvas isócronas focalizadas en la ciudad objeto del plan. Así aparecía en la propuesta de extensión de Murcia de César Cort de 1926, en las bases del concurso de extensión de Madrid de 1929, en el plan de extensión de Burgos de Fernando García Mercadal de 1929 y en el plan de extensión de Vigo de Antonio Palacios de 1932. En este sentido, las diferentes propuestas presentadas para Ceuta, ya fuera en forma de texto o en esquema gráfico, se basaron exclusivamente en la mejora de las infraestructuras de comunicación con el resto de las ciudades de su entorno norteafricano, como medida para potenciar el papel de la ciudad como nodo de comunicaciones a escala regional entre España y las ciudades del norte de África.
Portada del álbum de fotografías de la Alta Comisaría de España en Marruecos realizado con motivo de la visita del infante don Jaime de Borbón, con una acuarela en la portada de Mariano Bertuchi, 1930. Real Biblioteca, Patrimonio Nacional, Madrid.
Fotografía de Ceuta del álbum de la Alta Comisaría de España en Marruecos realizado con motivo de la visita del infante don Jaime de Borbón, 1930. Real Biblioteca, Patrimonio Nacional, Madrid.
Fotografías de Ceuta del álbum de la Alta Comisaría de España en Marruecos realizado con motivo de la visita del infante don Jaime de Borbón, 1930. Jardines de la Hípica en el Campo Exterior (arriba) y panorámica de la bahía norte (abajo). Real Biblioteca, Patrimonio Nacional, Madrid.
Fotografías de Ceuta del álbum de la Alta Comisaría de España en Marruecos realizado con motivo de la visita del infante don Jaime de Borbón, 1930. Zona del Campo Exterior (arriba) y baluarte de entrada (abajo). Real Biblioteca, Patrimonio Nacional, Madrid.
Instalación de José Blein para la revista África, Al Ittihad, y Prensa de Marruecos en la Exposición Hispano-Marroquí celebrada durante el mes de septiembre de 1932 en el Palacio de Cristal del Parque del Retiro de Madrid. África, 1 octubre 1932, p. 108 (izquierda) y Casa de alquiler en Ceuta conocida con el sobrenombre de El avión, obra de los arquitectos Gaspar y José Blein Zarazaga. Hormigón y Acero, 1 de mayo de 1928, p. 22 (derecha).
Documentación para el concurso de ensanche de Ceuta preparada por José Blein. «Suplemento al plano de las zonas 1 y 2 de ensanche», muelle de La Puntilla. 1928. Archivo General de Ceuta.
César Cort⁸¹ era desde 1918 el primer catedrático de urbanismo de la Escuela de Arquitectura de Madrid, donde tuvo un papel clave como introductor de la cultura urbanística anglosajona y norteamericana a través de su labor docente. La aproximación de César Cort se basaba en la teoría de la nucleología, cercana en su formulación a las teorías de la ciudad-jardín inglesa y de las unidades vecinales norteamericanas. Para el trabajo de Ceuta, César Cort contó con la colaboración de un joven ayudante, Pedro Bidagor, años más tarde uno de los principales protagonistas del urbanismo español de posguerra, en gran medida debido al encargo que recibió por parte de Pedro Muguruza para dirigir el plan general de ordenación urbana de Madrid de 1946.
La insistencia de Bidagor en la utilización del zoning como instrumento fundamental de proyectación urbana no contó con el beneplácito de Cort⁸². El rechazo sistemático del zoning como fin en sí mismo le supuso a César Cort ser desterrado de entre las figuras del urbanismo que encarnaban las posiciones más avanzadas del momento. Y fue la falta de claridad de la estructura zonal de su propuesta frente a la ganadora una de las razones principales que el jurado argumentó para decidirse finalmente por la de Gaspar Blein, que aportó con gran claridad frente a las demás propuestas una zonificación de usos y alturas.
Radburn estaba compuesto por tres unidades vecinales. Cada una de ellas contaba con 5.000 habitantes, población necesaria para el establecimiento de una escuela. Cada unidad se organizaba alrededor de su propio edificio escolar. La edificación se disponía perimetralmente en torno a un espacio central organizada en conjunto de viviendas unifamiliares con acceso rodado en forma de cul-de-sac. Sobre el espacio verde central de la manzana se trazaban las vías peatonales que permitían un recorrido independiente del tráfico rodado. El contacto del tráfico rodado y del peatonal sólo se producía en los cruces. La accesibilidad a la dotación escolar se planteó mediante su localización centrada y con una distancia máxima a las viviendas de media milla, lo que equivalía a unos 800 metros. Las tres unidades vecinales formaban a su vez un claustro alrededor del edificio escolar destinado a los estudiantes de bachillerato, buscando así una buena accesibilidad con una distancia máxima de 1,6 kilómetros. La teoría de las unidades vecinales fue publicada en 1929 como parte integrante del Regional survey of New York and its enviroments⁸³.
(81) Sobre César Cort véase María Cristina García González, César Cort (1893-1978) y la cultura urbanística de su tiempo, Madrid: Abada, 2018.
(82) Pedro Bidagor Lasarte, «Comentarios a las circunstancias que concurrieron en la formulación y puesta en marcha del Plan General de Ordenación Urbana de Madrid», Prólogo a Sofía Diéguez Patao, El nuevo orden urbano: «El Gran Madrid» (1939-1951), Madrid: Ministerio para las Administraciones Públicas y Ayuntamiento de Madrid, 1991, p. xxii.
(83) Clarence Arthur Perry, The neighbourhood unit, a scheme of arragement for the family life comnmunity, Monografía 1 del volumen VII de Thomas Adams, Edward Bassel y Robert Whitten (Eds.), Regional survey of New York and its enviroments,
Nueva York: Russel Sage Foundation, 1929.
Para César Cort la aportación más novedosa de la manzana americana consistía en la separación del tráfico rodado y del peatonal. En su propuesta Cort mantuvo la disposición perimetral de la edificación residencial y la liberación del espacio central. En algunas ocasiones el edificio escolar se situó en la edificación perimetral, quedando asignado el espacio central al campo de recreo o deportes, jardín u otros usos similares. El acceso peatonal a las viviendas se producía desde el interior de la manzana, con sendas peatonales, que se contrapeaban con el tráfico rodado del viario a modo de cul-de-sac. La consecuencia más directa de esta estructura era la gran dimensión de las manzanas americanas.
La primera vez que las utilizó César Cort fue en su propuesta para los nuevos barrios de la zona de Prosperidad en Madrid, que elaboró para el concurso de extensión de 1929 con el urbanista alemán Josep Stübben. Las grandes manzanas americanas distribuidas por la ciudad constituyeron una de sus singulares aportaciones al concurso madrileño. Su objetivo no era construir toda la extensión de la ciudad en base a agrupaciones de este tipo, sino que fueran implementadas entre otras manzanas convencionales. Se localizaron en las zonas periféricas del nuevo espacio urbano proyectado, próximas a dotaciones de entidad como parques, zonas deportivas u otros equipamientos. En el caso de Ceuta, las dos manzanas propuestas se situaban una en el borde sur del ensanche, cerca de la zona verde de la bahía sur, y la otra en el norte, vinculada a la zona deportiva prevista en la hípica.
Visita de César Cort (5) y otros profesores de la Escuela Superior de Arquitectura de Madrid, entre ellos Teodoro Anasagasti (4), con sus alumnos a las obras del Metropolitano de Madrid en 1918. Archivo fotográfico del diario ABC.
Pedro Muguruza Otaño (1893-1952) era a la altura de 1930 un arquitecto de reconocido prestigio en Madrid por su competente trabajo profesional, que incluía el emblemático edificio del Palacio de la Prensa, una dilatada actividad docente en la Escuela Superior de Arquitectura de Madrid y su participación en numerosos trabajos de urbanismo. Para el concurso de extensión de Ceuta contó con la colaboración de José Hervás, ingeniero civil afincado en la ciudad, y Manuel Latorre⁸⁴, arquitecto titulado por la Escuela de Arquitectura de Madrid en 1924, que en esos momentos desarrollaba su labor profesional desde Tetuán en la zona occidental del Protectorado español.
El informe del arquitecto municipal salmantino, entusiasta defensor del proyecto ganador⁸⁵, no pudo evitar que en el periodo de exposición pública se presentaran alegaciones en contra, que sirvieron de argumento al Ayuntamiento de Salamanca para que declarara desierto el concurso en 1927. El motivo aducido fue la existencia de errores en el emplazamiento de las manzanas, en concreto las situadas en los terrenos ocupados por la línea del ferrocarril, que en el proyecto se consideraban edificables. El argumento fue rechazado por los concursantes al quedar fuera de su responsabilidad el levantamiento del plano base, cuyo coste de elaboración hubiera sido mayor que los honorarios percibidos. La razón última del fracaso del proyecto fue la oposición de los propietarios de los terrenos, donde el consistorio, que actuó como garante de esa minoría organizada a través de la Cámara de la Propiedad Urbana, no mostró interés alguno por sacarlo adelante.
Perspectiva de la zona de ensanche sobre el terreno ganado al mar del anteproyecto de reforma interior y ensanche de Ceuta de Pedro Muguruza, octubre de 1930. Archivo General de Ceuta.
(78) José E. Rosende, «Base del concurso para la formación del plano de ensanche de Ceuta»,Boletín Oficial de Ceuta, no 202, 10 de julio de 1930, pp. 5-8.
(79) Sobre los documentos presentados por los participantes al concurso de Ceuta de 1930 véase la tabla de elaboración propia incluida en las páginas 150 y 151..
(80) Ayuntamiento de Ceuta, Memoria de Secretaría del año 1932, Ceuta: Ayuntamiento de Ceuta,1933.
El arquitecto José Blein Zarazaga. Fotografía reproducida en José Blein, «La transformación urbana de Ceuta», La Gaceta de África, no 63, 1936 (Número Extraordinario), p. 63.
5.1. La propuesta de César Cort Botí y la cultura urbanística norteamericana
Por otra parte, César Cort destacó en su propuesta las novedosas posibilidades que se abrían para la ciudad con el desarrollo tecnológico de las comunicaciones, incluyendo en su trabajo el establecimiento de bases de aeroplanos e hidroplanos y la construcción de una autopista entre Ceuta y Tetuán.
El ensanche propuesto por César Cort siguió las pautas indicadas en las bases del concurso e incluyó una completa red viaria, con una vía de circunvalación y una estructura de calles perfectamente jerarquizadas, con anchos que iban de los 5 metros hasta un máximo de 45 metros; la definición de las nuevas manzanas y su parcelación, que respetaban las preexistencias; el establecimiento de los nuevos espacios verdes, campos de juegos y de deporte y edificios públicos.
También propuso un segundo ensanche residencial en la superficie ganada al mar con las obras de ampliación del puerto. Esta idea chocaba, al igual que ocurriría en la propuesta de Pedro Muguruza, con las directrices establecidas por la Junta de Obras del Puerto, que prohibía cualquier intervención residencial en la nueva superficie ganado al mar, que debía ser dedicada de forma exclusiva a usos vinculados a servicios portuarios, tal y como sí recogió Gaspar Blein en su plan de extensión.
Formuló también establecer limitaciones a la altura de la edificación en base a la anchura de las calles. Esta relación proporcional era uno de los parámetros fundamentales que aplicó a los distintos sectores urbanos en los que dividió la ciudad de acuerdo a las especificaciones de las ordenanzas de la edificación: el corazón de la ciudad, la zona del ensanche y el extrarradio. La denominación de corazón de la ciudad para referirse al centro urbano nos remitía de nuevo a la cultura anglosajona. Así, en el plan de Chicago (1908) de Burham y Bennet figuraba esta denominación para el centro urbano y, curiosamente, The heart of the city fue el lema del VIII CIAM de 1951, celebrado en Hoddesdon (Inglaterra). Además, en este último congreso se retomó la idea de Burham de los civic centers, que también recuerda a la utilizada por César Cort en su teoría de la nucleología en relación con los llamados centros vitales.
Para el núcleo primitivo de la ciudad, César Cort propuso un pequeño ensanche en terrenos ganados al mar en el frente norte, justificando la envergadura de tal inversión económica en base a su recuperación en forma de las plusvalías generadas por la venta de las parcelas. Gaspar Blein propondría también ganar terreno en ese mismo frente pero dotándolo de un uso lúdico, a través de su tratamiento ajardinado y como lugar donde instalar un club náutico.
En el proyecto de Cort se marcaba también una delimitación para el denominado «barrio moro», en la zona comprendida entre el foso del recinto amurallado y la primera zona del ensanche, pero no se planteaba ninguna intervención específica. Ese modo de tratar los asentamientos de la población árabe era común con el planteamiento colonial de origen francés utilizado al proyectar los ensanches de las ciudades marroquíes. Así, las medinas se representaban gráficamente a partir de su delimitación urbanística, donde únicamente se marcaban los accesos con una indefinición del tejido urbano interior.
César Cort no incluyó dentro de su propuesta unas nuevas ordenanzas de edificación como tales, dado que para él eran válidas las que en ese momento estaban vigentes en la ciudad. Solamente propuso añadir unas limitaciones en altura tomando como base la división de la ciudad en zonas. También añadió un tratamiento específico para las calles interiores de las manzanas americanas, para los arrabales y para las zonas que quedaban fuera de la superficie cubierta por el proyecto.
Todo lo relativo a las infraestructuras urbanas, es decir, a la urbanización propiamente dicha, constituyó un capítulo importante de su propuesta. Estaban perfectamente definidas las redes de alcantarillado, abastecimiento de agua y de electricidad. La memoria concluía con las mediciones y el presupuesto de las nuevas calles incluyendo su pavimentación, alumbrado, saneamiento y distribución de agua.
El ensanche propuesto para el Campo Exterior tenía dos partes diferenciadas.
Por un lado, estaba la parte estructurada en base a una continuidad en el viario y cuya malla se adaptaba a la topografía. Cort utilizó su teoría de la nucleología con el trinomio iglesia-mercado-escuela como centro de la nueva zona residencial, donde las dos iglesias propuestas se convertían en los hitos de fondo de los grandes ejes estructurantes del conjunto. En lo que respecta al nuevo espacio verde propuesto para la zona por la que transcurre el arroyo de la Ribera del Puente, la edificación que lo envuelve lo fragmenta a la vez que permite su continuidad. Otra de las críticas negativas que el jurado asignó al proyecto fue la excesiva prudencia a la hora de proponer el derribo de la edificación existente en la zona, que era un gran condicionante dentro de su propuesta.
La segunda unidad del ensanche correspondiente al Campo Exterior se proponía sobre la nueva superficie ganada al mar en la zona del puerto. Desaparecido el condicionante topográfico que producía la necesidad de flexibilizar la forma de las manzanas, ahora una rígida estructura ortogonal cuyo eje longitudinal tiene como centro una plaza mayor porticada con reminiscencias clásicas escurialenses en el lenguaje arquitectónico utilizado. Esta plaza conectaba directamente con un eje transversal que partía de la estación de ferrocarril.
Las dos zonas verdes de la propuesta de César Cort eran la del arroyo de la Ribera del Puente y una gran zona verde en la vaguada más próxima a Loma Larga, situada más allá del ámbito propuesto y, por tanto, no definida gráficamente. La superficie del Campo Exterior susceptible de ser aprovechada para la extensión de la ciudad llegaba justo hasta el borde de las murallas del Afrag (Ceuta la Vieja), en el límite topográfico marcado por el arroyo de Fez y que estaba bajo responsabilidad española desde 1844.
Los requisitos estéticos también estaban presentes, incidiendo en la relevancia de controlar aquellas manzanas que pudieran tener especial impacto tanto en la silueta de la ciudad como en sus perspectivas internas. Así, el perfil de la ciudad quedaba definido con la presencia de edificios singulares en las zonas más elevadas y en los principales ejes de perspectiva. Las imágenes urbanas de las nuevas arquitecturas propuestas estaban próximas a la arquitectura académica de corte clasicista de la plaza mayor que se incluía en el ensanche de la zona portuaria.
César Cort propuso como novedoso elemento de ordenación urbana el uso de las manzanas americanas, donde tomó como referencia algunas intervenciones que se habían llevado a cabo en los «alrededores de Nueva York» en esos años, como especificó en la memoria de su anteproyecto. Aunque en la memoria no detallaba los ejemplos utilizados, indudablemente aludía a Sunnyside Gardens, en Queens, y a Radburn, en Nueva Jersey, llevadas a cabo por los arquitectos americanos Clarence Stein (1882-1975) y Henry Wright (1878-1936).
En 1924 la Regional Planning Association of America, nombre que adoptó la asociación americana de la ciudad-jardín, fundó como promotora inmobiliaria la City Housing Corporation. La empresa adquirió terrenos en Queens y encomendó a los arquitectos Clarence Stein y Henry Wright la construcción de Sunnyside Gardens, que aunque manteniendo la trama reticular neoyorkina de manzanas de 280 metros x 60 metros, incorporó las nuevas ideas cercanas a la filosofía de la ciudad-jardín. Allí las edificaciones perimetrales se organizaron dejando un espacio central que introducía quiebros en la continuidad de la edificación de tal manera que dicho espacio se subdividía en otros más recogidos que mantenían la conexión a través de sendas peatonales. En 1928 el proyecto estaba completado con 1.200 unidades de viviendas con zonas verdes de jardín en el interior de los bloques, contándose entre los vecinos una amplia comunidad de intelectuales y artistas entre la que se encontraban figuras como Lewis Mumford (1895-1990).
Una vez finalizado el proyecto de Sunnyside, la Regional Planning Association of America comenzó la construcción de Radburn, que sería el prototipo de la ciudad-jardín norteamericana. En Radburn se trasladó a la práctica la estructura teórica de las unidades vecinales (neighborhood units), de Clarence Arthur Perry.
Elaboración propia sobre el plano del proyecto de reforma y extensión de Ceuta de César
Cort, 1931. Archivo General de Ceuta.
Plano del proyecto de reforma y extensión de Ceuta de César Cort, 1931. Archivo General de Ceuta.
<< Barrio Moro >> en el Angulo, 1928. Archivo General de Ceuta.
Grupo de edificaciones en el terreno ganado al mar. Perspectiva de la propuesta de César Cort para el concurso de Ceuta de 1930.
Zona de casco histórico del anteproyecto de reforma y ensanche de Ceuta de César Cort,1930. Como era habitual, Cort no intervino en el conjunto denominado como «Barrio Moro», estableciendo sólo su delimitación y accesos. Elaboración propia sobre el plano conservado en el Archivo General de Ceuta.
Detalle de trazado de la nueva área urbana surgida de terrenos ganados al mar correspondiente a la propuesta de César Cort para el concurso de Ceuta de 1930. Archivo General de Ceuta.
Perspectiva del Alto del Otero con la iglesia y detalle del plano de situación del anteproyecto de reforma y ensanche de Ceuta de César Cort, 1930. Archivo General de Ceuta.
Zona de ensanche del anteproyecto de reforma y ensanche de Ceuta de César Cort, octubre de 1930. Se señalan en rojo las diferentes manzanas americanas propuestas. Archivo General de Ceuta.
Dos propuestas de manzanas americanas del anteproyecto de Ceuta de César Cort (1930).
En el centro, la propuesta de manzana americana de Cort-Stübben del concurso de Madrid (1929) donde se producen agrupaciones de viviendas con acceso rodado en cul-de-sac. Elaboración propia sobre plano del Archivo General de Ceuta.
Propuesta de urbanización de Madrid de César Cort y Joseph Stübben para el concurso de extensión de la ciudad de 1929. Se señala la nueva zona proyectada en el barrio de Prosperidad. Elaboración propia sobre plano de los autores.
Manzana americana propuesta por el equipo formado por César Cort y Joseph Stübben para el concurso de extensión de Madrid de 1929. Se define por la separación del tráfico peatonal por el interior de la manzana y el acceso rodado por el exterior a través de fondos de saco. Su dimensión es mayor que la manzana habitual.
Propuestas de manzanas con espacio libre en su interior publicadas en el manual Der Städtebau (1880) de Joseph Stübben.
Detalle de las manzanas americanas de la propuesta para Rarburn, Nueva Jersey, de Clarence Stein y Hernry Wright, 1928.
5.2. La propuesta de Pedro Muguruza, Manuel Latorre Pastor y José Hervás
(84) Antonio Bravo Nieto, «La mirada africana: entre el art déco y el clasicismo. Aproximación al arquitecto Manuel Latorre Pastor», Boletín de Arte, no 17, 1996, pp. 327-347.
Curiosamente Manuel Latorre Pastor había participado en el plan de extensión de Salamanca de 1925, en un equipo dirigido por César Cort del que también formaban parte Sixto Cámara Niño y José María de la Vega Samper. La ciudad castellano-leonesa contaba al inicio de la década de los años veinte con 32.000 habitantes y desde entonces intentó acometer la reforma interior y ensanche de su núcleo urbano tras varias convocatorias fallidas donde los concursos quedaron desiertos. El devenir del concurso salmantino de 1925, que contó con el aliciente de un premio de 25.000 pesetas (el del concurso de Ceuta fue de 45.000 pesetas) y un plazo de entrega de ocho meses, es bastante ilustrativo de lo acaecido en otros muchos municipios españoles.
(85) «Un gran proyecto de ensanche de Salamanca», El Adelantado, 27 de septiembre de 1925.
La propuesta del equipo de Muguruza para Ceuta partía de una composición urbana de tipo académico en base a unos claros ejes viarios que intentaban adaptarse tanto a las preexistencias como a la pronunciada orografía, que se salvaba cuando era necesario mediante la construcción de un viaducto y el escalonamiento de las calles secundarias. Las manzanas eran irregulares excepto las de la zona de ampliación de puerto, donde propuso una trama ortogonal. Banca, compañías navieras y deportes son los usos asignados a este entorno. El gran eje perpendicular al mar de la zona del ensanche portuario se convertía en el más significativo de su propuesta. Paralelo al mar proyectó un paseo formado por una doble fila de árboles. La nueva edificación tenía forma de bloques lineales de 2-3 alturas con una sucesión de arcadas en doble plano de fachada en su planta baja a modo de soportales, que daban lugar a un marcado juego de sombras. En lo que respecta a la operación de reforma interior, se basaba en la rectificación del viario existente y en la continuidad del frente edificado. Propuso también la apertura de una nueva puerta en la muralla, con un marcado aire renacentista, para facilitar el acceso al casco urbano desde la zona de ensanche de la ciudad. El nuevo puente se continuaba como eje principal en la plaza de África. El acceso existente se mantenía como paso directo al puerto y a la nueva zona de ensanche del puerto.
El lenguaje arquitectónico utilizado en los edificios propuestos se manifestaba en la presencia de arcadas y pórticos, que utilizaban la serliana junto con secuen cias binarias de arcos, como principales motivos compositivos, entre pinceladas de vegetación. La mano del versátil Latorre Pastor está muy presente en esa utili zación ecléctica del lenguaje que, por otra parte, era frecuentemente utilizada por los alumnos de la Escuela de Arquitectura de Madrid en los proyectos que tuvieran que ver con ciudades españolas de origen árabe o ciudades situadas en África. El uso de las arcadas porticadas con presencia de vegetación daba una tónica al conjunto que contrastaba con la imagen de las otras propuestas, como la de Cort, más clasicista aún, y la de Blein, de corte racionalista. Las viviendas aisladas, unas con cubierta plana y otras a cuatro aguas, presentaban en su arquitectura junto al uso de torreones algunas reminiscencias de la arquitectura hispanomusulmana. En la propuesta se definen, a modo de esbozo, algunos edificios dotacionales como un estadio y la denominada zona escolar, que comprendía escuela e instituto y ocupaba la totalidad de una gran manzana.
Años más tarde, Pedro Muguruza continuó trabajando no sólo en Ceuta sino en todo el Protectorado español. Los prototipos seriados de viviendas unifamilia res de tipo modesto con destino a la población marroquí que realizó Muguruza en 1936, dotadas de elementos y de un aire orientalista, no formaron parte de la propuesta para Ceuta, donde los modelos de vivienda presentados no eran más que una imagen de vivienda independiente próxima a la ciudad-jardín.
Arquitecto Pedro Muguruza Otaño.
Propuesta para el proyecto de ensanche de Ceuta de Pedro Muguruza, fechada en octubre de 1931. Archivo General de Ceuta.
Agrupación de viviendas del anteproyecto de Pedro Muguruza, octubre 1930 (arriba). Perspectivas de la plaza del Teatro en la nueva vía central propuesta en la reforma del casco urbano de Ceuta del anteproyecto del equipo de Pedro Muguruza, octubre de 1930 (abajo). Archivo General de Ceuta.
Detalle de la superposición del anteproyecto de reforma interior y ensanche de Ceuta de Pedro Muguruza sobre una fotografía aérea de la zona de ensanche sobre el terreno ganado al mar en la zona del puerto, 1930. Archivo General de Ceuta.
Zona del puerto: banca, grandes comercios, compañías navieras, deportes (arriba) y el estadio al término de la vía central (abajo) del anteproyecto de reforma interior y ensanche de Ceuta de Pedro Muguruza, octubre de 1930. Legado de Pedro Muguruza. Real Academia de Bellas Artes de San Fernando, Madrid.
Zona escolar: instituto y escuela del anteproyecto de reforma interior y ensanche de Ceuta de Pedro Muguruza, octubre de 1930 (arriba). Legado de Pedro Muguruza. Real Academia de Bellas Artes de San Fernando, Madrid. Tipos de viviendas aisladas propuestos para la zona alta del ensanche del anteproyecto del equipo de Pedro Muguruza, octubre de 1930 (abajo). Archivo General de Ceuta
Perspectiva del nuevo puente que uniría el ensanche con el casco urbano de Ceuta, octubre de 1930 (arriba). Legado de Pedro Muguruza. Real Academia de Bellas Artes de San Fernando, Madrid. Fotografía aérea de época donde se muestra la única conexión del ensanche con el casco urbano de Ceuta. África, 1 de junio de 1931, p. 117 (abajo).
Perspectiva (arriba) y plano de situación (abajo) del nuevo puente que uniría el ensanche con el casco urbano de Ceuta según el anteproyecto del equipo de Pedro Muguruza, octubre de 1931. Archivo General de Ceuta
Reforma del casco urbano en su encuentro con el ensanche según el anteproyecto del equipo de Pedro Muguruza. Archivo General de Ceuta.
«Enlace de la ciudad con el ensanche y con el puerto y el interior. Vista desde un aeroplano», del anteproyecto de Pedro Muguruza, 1930. Archivo General de Ceuta.
5.3. La propuesta ganadora de Gaspar Blein y Manuel Martínez Chumillas: la profesionalización
Desde 1926 el arquitecto Gaspar Blein Zarazaga (1902-1988)⁸⁶ venía ocupando la plaza de arquitecto segundo jefe de la Oficina Técnica de Obras de Ceuta, bajo la dirección del también arquitecto Santiago Sanguinetti (1875-1930)⁸⁷. Permaneció tres años en el cargo hasta que en 1929 pasó a desempeñar el cargo de arquitecto municipal de Murcia, con la tarea de dar continuidad al proyecto de extensión realizado por César Cort en 1926 que entonces se encontraba paralizado. En 1933 se incorporó a la Oficina Técnica del Ayuntamiento de Madrid, donde asumió con el paso del tiempo distintos cargos de responsabilidad hasta su jubilación. La vacante que dejó en Ceuta fue ocupada, tras superar el correspondiente concurso público, por su hermano José Blein, que desde 1927 colaboraba con él en el estudio de arquitectura que mantenía abierto en Ceuta. En Ceuta permaneció en el cargo hasta 1943. De hecho, José Blein asumió el cargo de arquitecto jefe de la Oficina Técnica de Obras de Ceuta a la muerte de Sanguinetti.
En el proyecto de extensión de Ceuta participó también Manuel Martínez Chumillas, uno de los miembros del Grupo Centro del GATEPAC, que además había realizado alguna obra en Tánger, como el edificio Goicoechea. Martínez Chumillas y Blein colaborarían después puntualmente en otros trabajos de urbanismo, como su participación conjunta junto con el arquitecto Germán Valentín en el concurso de extensión de Logroño en 1935. En 1931 la revista AC. Documentos de Actividad Contemporánea⁸⁸ publicó su proyecto de edificio comercial para Urzábal, S.A. y su propuesta para el grupo de viviendas de Solocoeche en Bilbao en el que presentaron una solución muy próxima a la manzana de viviendas modestas propuesta para Ceuta⁸⁹. Además, ambos arquitectos trabajaron como técnicos para la empresa Agromán durante los años treinta. De hecho, fue la revista Obras, editada por la propia empresa, la que publicó un artículo en 1932 en el que Gaspar Blein explicaba su propuesta para Ceuta. Después de la guerra civil los dos arquitectos resultaron finalistas en el concurso de anteproyectos para la nueva casa consistorial de Zaragoza en 1942.
86 Vicente Sánchez de León, «Historia del urbanismo contemporáneo español. Gaspar Bein Zarazaga», Urbanismo, nº 12, enero de 1991, pp. 92-98.
87 Sobre Santiago Sanguinetti ver la tesis doctoral de Emilia Garrido Oliver titulada Santiago Sanguinetti, arquitecto en las ciudades de Ronda y Ceuta: el Modernismo y la Modernidad, Granada: Departamento de Historia del Arte de la Universidad de Granada, 2006.
88 «Edificio comercial para Urzábal, S.A.», AC. Documentos de Actividad Contemporánea, nº 3, segundo trimestre de 1931, pp.18-19.
89 «Soluciones presentadas por miembros del GATEPAC al concurso de proyectos para un grupo de casas en Bilbao», AC. Documentos de Actividad Contemporánea, nº 11, tercer trimestre de 1933, p. 36
El prestigioso ingeniero de caminos Eduardo Torroja firmó los proyectos de saneamiento, electricidad y abastecimiento de agua incluidos en la propuesta de Blein y Martínez Chumillas. La oficina de Eduardo Torroja⁹⁰ llevaba realizando trabajos de infraestructuras urbanas desde 1926, como lo ponen de manifiesto los proyectos de saneamiento y abastecimiento de agua de los municipios de Almendralejo (Badajoz), Trebujena (Cádiz), Osuna (Sevilla), los depósitos de agua para el abastecimiento de Tetuán, Benifairó (Valencia) y Linares y el proyecto de alumbrado público y abastecimiento de agua del nuevo barrio de Los Remedios en Sevilla. Gaspar Blein señaló también la colaboración de su hermano José en el proyecto para Ceuta⁹¹
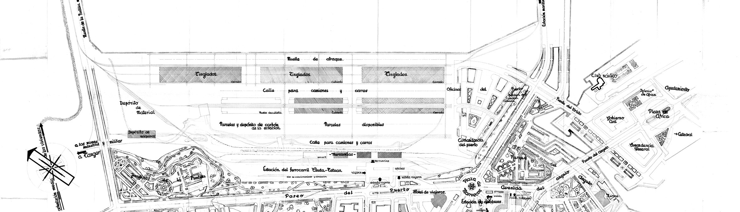
El concienzudo trabajo desarrollado por Gaspar Blein barría un amplio espectro de temas. Partía de un esbozo a escala regional y llegaba hasta la estandarización de la estructura constructiva de los nuevos edificios de viviendas propuestos. Incluía también completos estudios de soleamiento y ventilación. El epicentro de su proyecto se presentaba como un acabado nudo de comunicaciones a través de la denominada plaza de Marruecos, localizada en el inicio del ensanche. En ella confluían las principales vías de conexión de la ciudad tanto con el exterior, a través de las carreteras Ceuta-Tetuán y Ceuta-Tánger, como con el interior, a través del nuevo puente que conectaba con la ciudad consolidada ―el casco urbano se conectaba con la extensión solamente por el puente de El Cristo―. Las estaciones de autobuses y ferrocarril confluían también en la mencionada plaza situada junto al puerto, auténtico centro neurálgico que dotaba de verdadera identidad a la ciudad.
La zona comercial era denominada «cerebro» del ensanche. Se estructuraba a través de una vía que partía en disposición diagonal de la plaza de Marruecos. En ella se localizaban las actividades comerciales, terciarias, culturales y de servicios públicos. Grandes edificios de veinte plantas de altura, denominados rascacielos comerciales, se unían con bloques horizontales de cuatro alturas, que albergaban en su plantas bajas servicios como bares y restaurantes.
Los criterios de partida para la nueva zona residencial eran los de la accesibilidad, la presencia del aire y del sol, además de la proximidad de las zonas verdes, formulando para la propuesta el modelo de bloque abierto. Para conseguirlo descartó el uso de los patios interiores, no permitiendo para los bloques un ancho mayor que la doble crujía y proponiendo la orientación de los edificios buscando el máximo soleamiento y la eficaz protección de los vientos dominantes a través de la presencia de grandes masas de vegetación en los espacios libres.
90 Archivo Eduardo Torroja Miret. Centro de Estudios Históricos de Obras Públicas y Urbanismo, Ministerio de Fomento, Madrid.
91 Gaspar Blein, «Concurso para la urbanización del Ensanche de Ceuta», Obras, nº 5, febrero de 1932, pp. 30-38
Las viviendas se clasificaban según los destinatarios: zona de viviendas de gran densidad, próxima a la zona comercial, con solares de gran valor cuya altura de la edificación sería criticada en la valoración del jurado por excesiva; zona de viviendas de lujo con hotelitos de baja densidad situados en las zonas apartadas de mayor pendiente; y zona de edificación obrera, a modo de ciudad-satélite, en suelo barato y más alejado del centro.
Las zonas verdes y deportivas eran consideradas los grandes pulmones de la ciudad. Estaban formadas por los ya existentes jardines de la Puntilla y los nuevos parques de Angulo y San Antonio, dispuestos en alternancia con las zonas de mayor densidad urbana y con la dirección de los vientos dominantes. Ambas zonas verdes enlazaban en la parte norte del ensanche con la masa de vegetación que limitaba la zona portuaria. El parque de San Antonio ocupaba la vaguada del arroyo de la Ribera del Puente. Debido a la pronunciada orografía del lugar, todas las propuestas consideraron esta zona como susceptible de ser utilizada como el principal espacio verde de la ciudad. La continuidad del viario entre las distintas zonas del ensanche se conseguía mediante la construcción de un viaducto sobre la vaguada del arroyo. Estaba concebido como un parque urbanizado tanto en la zona de viviendas de lujo, como en su parte sur, donde se localizarían los hotelitos y se proyectarían las nuevas instalaciones deportivas formadas por el estadio, las pistas de tenis y el campo de golf. El parque de Angulo, que daba a la bahía sur, seguiría conservando los históricos macizos amurallados de la ciudad. Contaría además con una playa artificial con balneario y espigón de protección.
Las zonas de uso industrial y militar presentaban en común su no necesaria proximidad al centro urbano. La zona industrial se proponía en relación con el puerto y la zona destinada a vivienda obrera. Se extendida por la parte baja de Loma Larga. La zona militar, situada en Loma Larga, agruparía a las instalaciones cuarteleras y demás dependencias militares en torno a su buena comunicación con la nueva vía que arrancaba de la carretera de la playa de Benítez.
En definitiva, el completísimo trabajo de Gaspar Blein para Ceuta era una muestra inequívoca de los principios de orden, higiene y economía, utilizando sus propias palabras, que intentaba aplicar a su trabajo como urbanista.
5.4. Un plan en el cajón
En el acta del jurado del concurso se incluyó la recomendación de que un técnico de confianza del equipo ganador realizase un viaje a las principales ciudades del Protectorado francés para tomar referencia de las políticas de gestión urbana desarrolladas en las mismas. Las autoridades municipales de Ceuta barruntaban que la disponibilidad del suelo iba a ser el gran condicionante para la puesta en marcha de la iniciativa.
El plan no pudo llevarse a cabo por su inviabilidad económica, ya que en la práctica era imposible proceder a realizar las numerosas expropiaciones pertenecientes al ramo militar contempladas en el proyecto ganador. La venta de las nuevas parcelas que se generarían era el único modo de financiación del plan, por lo que la propuesta quedó en el cajón. Hasta el año 1933 no se aprobó la ley que zanjaría definitivamente el debate sobre las propiedades del Campo Exterior de Ceuta, también de Melilla, en beneficio de los ayuntamientos pero priorizando el dominio militar del mismo, en los siguientes términos: «Las propiedades que no estén destinadas a servicios militares o proyectos que hayan de realizarse y los que ocupados por entidades o particulares no hubiesen sido cedidos o legitimados, serán totalmente cedidos a los municipios de las dichas Plazas en concepto de bienes propios, en las condiciones que las leyes fijan para todos los de tal carácter en los Municipios del territorio peninsular de régimen común»⁹². El estallido de la guerra civil en julio de 1936 dio al traste definitivo de este ambicioso plan.
92 «Las propiedades del Estado en Ceuta y Melilla», África, julio de 1933, pp. 143-144.
El arquitecto Gaspar Blein Zarazaga en su mesa de trabajo. Fotografía reproducida en Vicente Sánchez de León, «Historia del urbanismo contemporáneo español. Gaspar Blein Zarazaga», Urbanismo, nº 12, enero de 1991, p. 92
Edificio Goicoechea, Bulevar Pasteur, 54, Tánger, obra del arquitecto Manuel Martínez Chumillas. Cortijos y Rascacielos, nº 55, 1950, p. 18
Fotografía aérea de Ceuta, donde se da cuenta de su condición de ciudad portuaria y de su topografía. La zona situada a la izquierda del istmo, el Campo Exterior, es donde estaba previsto llevarse a cabo el proyecto de ensanche de la ciudad según los concursos de 1930 y 1932.
Sistema de transporte a escala regional presente en la memoria del anteproyecto de la propuesta de Gaspar Blein para el concurso de urbanización de Ceuta, 1931. Archivo General de Ceuta.
Plano de alineación, red viaria y espacios libres del anteproyecto de la propuesta de Gaspar Blein, octubre de 1930. Archivo Histórico de la Ciudad Autónoma de Ceuta (arriba) y propuesta de zonificación del ensanche de Ceuta del anteproyecto de Gaspar Blein (abajo), 1930. Archivo General de Ceuta.
Estudio de vientos y soleamiento, factores en los que Gaspar Blein justifica las decisiones sobre diseño urbano de su propuesta. Archivo General de Ceuta (arriba) y detalles de representaciones gráficas de estudios estadísticos de densidades: población y superficies (abajo), 1930. Archivo General de Ceuta.
Detalle del plano de ensanche de Ceuta de Gaspar Blein, 1931. Zona del puerto, estación y reforma interior del casco urbano (arriba), zona de vivienda obrera y corazón de la ciudad (medio) y zona de vivienda unifamiliar con instalaciones deportivas (abajo). Archivo General de Ceuta.
Sistema de parques y comunicaciones del proyecto de ensanche de Ceuta de Gaspar Blein, 1931. Archivo General de Ceuta.
Gran Vía: zona comprendida entre los dos fosos, entre la zona de ensanche y el casco viejo, del proyecto de ensanche de Ceuta de Gaspar Blein, 1931. José Blein, «La transformación urbana de Ceuta», La Gaceta de África, nº 63 (Número Extraordinario), 1936, p. 64
Perspectivas de la zona de puerto y del edificio de la estación del ferrocarril correspondiente al proyecto de ensanche de Ceuta de Gaspar Blein, 1931. Archivo General de Ceuta.
Plano de ordenación general del proyecto de ensanche de Ceuta de Gaspar Blein, 1931, donde se señalan el conjunto principal de la zona del ensanche con la estación ferroviaria (izquierda) y la zona del puerto (derecha). Archivo General de Ceuta.
Área principal del núcleo del ensanche de Ceuta: estaciones, edificios públicos, hotel, teatro, bancos, cafés, rascacielos comerciales, garajes y estacionamientos, y detrás, zona de viviendas (arriba). Plano de modificación del trazado inicial del conjunto (abajo), del proyecto de ensanche de Ceuta de Gaspar Blein, 1931. Archivo General de Ceuta.
Perspectiva y secciones del nuevo centro de actividad comercial de Ceuta, del proyecto de ensanche de Ceuta de Gaspar Blein, 1931. Archivo General de Ceuta.
Portada del número de la revista África donde se publicó el resultado del concurso para el proyecto de ensanche de Ceuta de 1930, cuyo dibujo representa el eje principal de la propuesta ganadora, correspondiente al proyecto de Gaspar Blein.

